在台灣很多坊間說法是,黃化體色就是黑色素細胞減少,但真的是這樣嗎?我們可以看看Goodrich et. al 在1944年的顯微鏡下的觀察。以下的顯微鏡觀察照片中,均可清楚地看見鱗片邊緣的形狀和上面紋路。

正常的體色表現,顯微鏡下黑色素均勻的分佈在整個體表。

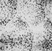
黃化顯微鏡觀察中,黑色素整體的量其實並沒有減少太多,和野生灰幾乎相同,但是體積卻大幅縮小。這就是為什麼我們依舊能在黃化體色上,仍然能看到如聖塔、禮服這類以大量黑色素細胞為架構的基因表現,而不是完全消失的緣故。

虎斑顯微鏡觀察中,黑色素細胞約減少了50%左右,我們可以看見鱗片中央的黑色素細胞均已消失,只剩下邊緣的樹突狀大塊的黑色素細胞保留,且樹突狀更有延展的趨勢,像海膽一樣。

奶油體色(Cream)顯微鏡觀察中,黃化+虎斑雙重隱性基因表現作用下,黑色素細胞已經大幅縮減了80~90%,讓魚的整體膚色呈現出一種白透的奶油感,若是做紅色斑塊或體色的魚隻表現,將會產生一種相當特殊的美感效果。
那在實際魚體上時,會又怎樣的表現差異呢?讓我們用以下舒斯特頂劍在不同體色下的表現就知道了。



